Council to consider temporary homeless camping area behind Aberdeen City Hall
Published 5:30 pm Tuesday, July 9, 2019
Facing the imminent closure of Aberdeen’s large homeless encampment, the Aberdeen City Council will consider a proposal to establish a temporary shelter in the parking lot behind City Hall Wednesday night.
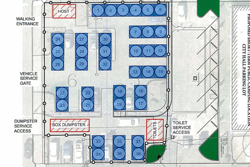
The fenced-in area would have 38 city-provided tents that people can move into, according to a diagram on the council agenda. Mayor Erik Larson said it would only be a short-term facility to be used while the city looks into a permanent site elsewhere. He said there is a specific site under consideration, but declined to say where it is.
The proposal is to allocate $30,000 of city funds to establish the shelter and maintain it for one month. About half of that amount is to pay for 24-hour security through a private company, while the rest is a one-time cost to establish the site with fencing, tents, portable toilets and trash receptacles, Larson said.
For the past couple of weeks, an ad hoc committee of city officials has worked to address issues with homelessness following the city’s plan to clear the homeless encampment along the Chehalis River near downtown. The committee considered several alternatives to having the riverfront inhabitants camp on public rights-of-way, the proposal states.
Some logistics of the temporary site haven’t been figured out yet, and the plan could change when it’s considered by the council at Wednesday night’s meeting. The current plan is to have individuals assigned to each tent; they would have to provide their names and possibly other information, the mayor said. The city intends to allow couples to share tents, and would allow pets as long as they’re vaccinated and not dangerous. Drugs would not be allowed on the property and security would enforce that, he added. The fencing surrounding the site would also be covered for privacy.
The site appears to take up the parking lot adjacent to the corner of First and I streets, according to the provided diagram — not the parking spaces immediately next to City Hall.
“We’re hopeful that by doing this, if approved, we’ll be able to reduce the impact to our business community and improve the safety of individuals in this location where they have shelter and can keep out of the elements, and be somewhere they have a defined space and aren’t attempting to share it with other members of the public and other public uses,” said Larson.
Phil Calloway, president of the nonprofit Revival of Grays Harbor, which operates a day room for homeless people to get supplies in downtown Aberdeen, said he thinks it could be a good way to sort out issues with drug trafficking and crime, given the temporary site’s proximity to the city police station on the same block.
“If they map it out like other cities did in Tacoma and Walla Walla, it might be kind of good and could sort out some of the crime issues and separate those people out,” said Calloway.
Also on Wednesday night’s council agenda is the ad hoc committee’s proposal for Larson to enter negotiations for purchase of a long-term shelter location. That proposal estimates it would cost between $330,000 and $480,000 to lease or purchase and establish a long-term site, depending on the location.
Janae Chhith, a mayoral candidate who’s worked with homeless nonprofits previously, said she wishes work to create a shelter had been done sooner and before getting to the point where the city had began the process to clear the homeless camps.
“I wish this was taken more seriously 10 months ago when Officer (Darrin) King had been rallying for it,” said Chhith. “I think for this to work, there is needs to be groups who work together to access mental and physical health needs at the very minimum.”
When the city purchased the riverfront property a little under a year ago, 108 people were registered as living there. The number of inhabitants has decreased since then. Larson has said his staff reported that number being cut to less than half in recent months, while some camp residents and advocates say it remains closer to 100 people at any given time.
Council President Tawni Andrews, who’s served on the committee for this issue and is running for mayor this year, said if there is overflow from the temporary site, it’s possible the city would need to consider a secondary location.
“We’ll just have to see how it unfolds,” said Andrews. “It’s a learning experience for us.”
